Le tout premier SkinLab au Canada a ouvert à 2 h de Montréal et je l'ai essayé
Je n'oublierai plus jamais de me démaquiller avant le dodo, ça c'est certain!

La pandémie a mené à plusieurs « premières », dans tous les champs. L'une d'elles peut difficilement être ignorée, puisqu'un terme a même été inventé par les dermatologues : la maskné, née de la fusion de deux mots qu'on ne porte pas dans nos coeurs « masque » et « acné ». On comprend facilement qu'on parle des éruptions cutanées et autres inconforts causés par le port du masque et l'humidité qu'il emprisonne sur la peau. Suite à ma première poussée de maskné, j'étais désespérément à la recherche de solution, et une nouveauté est tombée à point : l'ouverture du tout premier Skin Lab de SkinCeuticals au Canada, rien de moins, et ça se passait au Québec, à Mont-Tremblant.
Un Skin Lab, ça fait quoi exactement de plus qu'un salon d'esthétique? Je ne le savais pas, mais j'allais le découvrir, et ça s'annonçait bien, étant donné la réputation qu'ont les produits de SkinCeuticals dans le milieu.
Le SkinCeuticals SkinLab, qu'est-ce que c'est exactement?
Lancés en 2020 aux États-Unis, les SkinLabs sont des salons d'esthétique qui combinent diagnostic de la peau, soins de beauté express, vente de produits SkinCeuticals et création de sérums personnalisés. Après sept ouvertures chez nos voisins du Sud, c'est le village de Mont-Tremblant qui a la chance d'être le premier emplacement SkinLab dans tout le pays. « Pourquoi pas Montréal? », me direz-vous? Maxime Dufault, propriétaire de Reflet Cosméceutique, la marque qui ouvre le SkinLab, explique le tout :
« En fait, il y a trois millions de visiteurs piétonniers annuellement qui passent devant notre porte. La géolocalisation est parfaite. Le Grand Ottawa est à une heure et demie, Montréal est à une heure et demie. Nous, on est au centre de cela. Mont-Tremblant a aussi une grande clientèle de Toronto. Montréal serait évidemment notre choix de localisation numéro deux. Mais ça, ça va dépendre du succès de Tremblant, mais surtout de la reprise à court terme et des décisions gouvernementales. »
Surtout, M. Dufault ajoute qu'il est un « amoureux de Mont-Tremblant », alors qu'il y passe une majorité de son temps avec sa conjointe et ses enfants. Sa conjointe, Dre LeBlanc, est d'ailleurs celle qui lui a fait découvrir SkinCeuticals et le domaine de la médico-esthétique, travaillant elle-même dans la médecine esthétique sur la Rive-Nord de Montréal.
En plus d'être une boutique offrant des soins d'esthétique, le SkinLab offre plusieurs expériences à la fine pointe de la technologie qui rendent l'endroit unique : le Visia, une numérisation de la peau en profondeur, et le Custom D.O.S.E, la possibilité de se faire faire un produit sur mesure.
Mon honnête expérience
Je dois le dire : j'ai l'habitude de me faire présenter des « expériences révolutionnaires » et de « nouvelles technologies » dans le monde de la beauté, alors j'y allais avec curiosité, mais pas trop d'attentes. Spoiler alert : j'ai tripé.
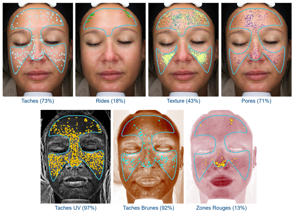
Lors de l'arrivée au SkinLab, on t'emmène pour le scan facial Visia, un outil qui permet d'analyser en profondeur, l'état de la peau et les caractéristiques de notre visage, comme les grains de beauté, taches de rousseur, pigmentaires ou solaires, les cicatrices d'acné, les rides et ridules, l'hyperpigmentation, les lentigines, les rougeurs, les marques d'inflammation, la couperose et la rosacée ainsi que les bactéries à l'origine de l'acné.
On peut donc avoir un diagnostic expert en quelques minutes seulement. L'esthéticienne qui accompagne dresse ensuite un portrait complet de la santé de notre épiderme.
Les résultats en pourcentage sont, en fait, une comparaison par rapport aux autres individus du même âge, sexe et type de peau. L'objectif est d'avoir un indice le plus haut possible, donc, dans mon cas, la note pour les zones rouges est assez mauvaise, tandis que celle pour les taches UV est excellente.
L'outil permet aussi de voir comment on va vieillir (l'âge est en bas à gauche), et ça, ça donne envie de prendre soin de soi, disons-le :
Après avoir fait le scan, on peut donc cibler les besoins de la peau pour conseiller des produits adaptés, mais aussi l'un des trois soins offerts sur place : SkinSmooth, SkinBright, SkinFirm. Le SkinSmooth est un soin de 30 minutes seulement qui combine une lumière à D.E.L. et un peeling chimique. Le SkinBright, pour sa part, est d'une durée de 45 minutes et combine le soin Bela MD et le peeling chimique. Finalement, le SkinFirm est un traitement de 45 minutes de microperforation superficielle de la peau et de Gel Hydratant B5 qui servira a régénérer la peau.
J'ai personnellement opté pour le SkinBright, qui promet de « conserver la jeunesse de la peau » et donner un boost niveau éclat et uniformisation du teint. Après avoir consulté ma note, ci-haut, en termes de texture et de zone rouges, le choix était assez évident.
Est-ce que ça vaut le hype?
Comme mentionné plus tôt, je suis le type de personne qui doit voir les résultats pour y croire. Et cette fois, je dois le dire : ça vaut le hype.
Les photos ci-bas sont prises à une semaine d'intervalle après le nettoyage de ma peau, parce que je voulais donner une chance aux produits, et pas seulement au soin en succursale.
Outre l'éclairage différent, on peut voir la différence sur la texture de la peau.
L'effet sur mes rougeurs est drastique, mais la texture de ma peau et mon éclat se sont nettement améliorés. Bien sûr, je porte encore le masque au quotidien, alors je n'espérais pas de miracle, mais après des mois d'essais de produit, j'ai enfin trouvé un moyen de me débarrasser de mes rougeurs.
Si tu es curieux.euse de connaître ma formule perso, j'ai opté pour le nettoyant LHA, mon sérum personnalisé et le gel phyto correcteur, le gel apaisant qui doit avoir aidé pour les rougeurs.
Évidemment, les produits SkinCeuticals sont soutenus par la science, et plus chers que ton produit habituel en pharmacie. Si tu hésites, je crois que ma plus belle recommandation serait d'essayer le scan Visia en succursale, qui est complètement gratuit lors de la visite, pour bien connaître ta peau et ensuite prendre des décisions stratégiques.